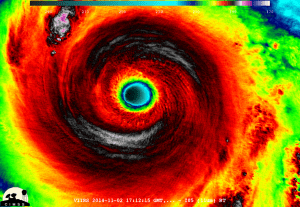
This superstorm has been called by the weather stations as ‘greater than Sandy.’ Hurricane force winds that will bear down on Alaska plunging the US into frigid temperatures from North Dakota to Minneapolis and down to the gulf coast. What is intriguing is it’s name. Why Nuri?
| Nuri | |
|---|---|
| Gender | Persian surname, Male and female (Korean, Aramaic) |
| Language(s) | Arabic, Aramaic, Korean, Persian |
| Origin | |
| Meaning | Persian come from New (Nowruz), Korean for “world”(누리), Arabic (Levant) for “my light” (نور+ي), Aramaic for “my fire” (ܢܘܪܝ) |
Typhoon Nuri in the Western Pacific will likely cause extreme weather for the Northern Pacific and parts of North America in the next 5-10 days via Extreme weather in North America likely, thanks to Typhoon Nuri | Earth | EarthSky.
Praying for everyone to stay safe.
Categories: extreme weather, news, News Of The Day Heartbreaking & Prophetic

America is under Judgement. The pride of America is being struck. Let HIS+ people hide themselves in HIM+ and in prayerful intercession.
Peace+ to the “Called-Out” whereever they are stationed by our LORD+. Amen + + +
Whooo, that’s a bit enormous, ain’t it 🙁
Reblogged this on The Abortion Prophecy….